I thought it was about time we had a blog post with some sunshine in it. Today turned out to be a lovely day and I was lucky enough to be at RSPB Rye Meads with GrahamC from the RSPB forums, looking at Kingfishers and stuff, when the sun came out.
A flock of Tufted Ducks from the Gadwall hide, pre-sunshine. This hide overlooked a squarish lake with some tern rafts on it.
Taken later on but from the same hide, a Little Grebe with a Little Snack. There were lots of Little Grebes around on the reserve, and no Great Cresteds.
Every time I think I've really had enough of photographing flying Cormorants, along flies another one and up comes the camera again. It's like some terrible compulsive disorder. I do quite like the result this time - a nice-looking juvenile coming in for a landing.
Kingfishers reared three broods at Rye Meads this year, using an artificial sandbank on the bank of a small pond. The action was on show from the elevated Kingfisher hide. We saw at least two different individuals, though neither deigned to perch very close or for very long.
There are several Kestrel nestboxes around the reserve, some attached to pylons. This Kestrel was also attached to a pylon (at least for a little while). Very high up, hence the rubbish angle.
Also very high up - a circling Sparrowhawk. Will I ever get a decent photo of this pesky species? It was good to watch him wheeling about against a clear blue sky, though.
The paths around the reserve are all lined with scrub, which harboured plenty of insects. This Common Darter couple settled with some difficulty on an eye-level leaf and appeared not to mind having their intimate moment caught on camera.
A tree thickly clad in flowering Ivy was alive with wasps, and also attracted a few late butterflies, including this Comma...
... and several Red Admirals.
Some paths bordered ditches, which were being cruised along by Migrant Hawkers. This one hung in the air long enough for me to capture a couple of coveted in-flight shots.
On our second look in at the Gadwall hide, we watched two adult Black-headed Gulls come in to land, but when a third (this one) arrived, the first two took off and chased it away.
Having seen off their rival, the original pair settled on a tern raft and did some gentle bowing and crooning at each other, apparently forming or consolidating a pair bond.
Wildfowl around included Teal, Gadwall, Shoveler and (allegedly) at least one Garganey but we didn't see it. Here's a female Teal...
... and here's a male Shoveler. Talk about beauty and the beast.
From the visitor centre you can see the feeding station, and take photos of it (unfortunately through glass). This female Pheasant was a shy and furtive visitor.
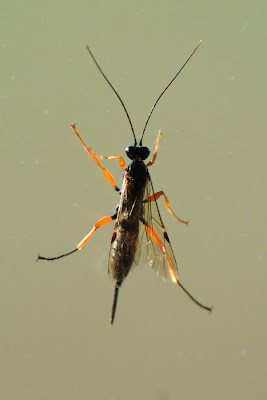
The best sighting from the final hide was this ichneumon walking up the glass. I've discovered that there are 1,200 ichneumon species in Britain, so nailing down the ID might be more than I can currently cope with...
Tuesday, 12 October 2010
Sunday, 10 October 2010
Murky day in north Kent
On Saturday, amid promises of a lovely sunny day, we drove through grey mist to Oare. For once we were there at proper high tide, and the East Flood was laden with roosting waders - unfortunately most were out of reach of our lenses.
As usual, Black-tailed Godwits formed the bulk of the roost, but there were also plenty of Avocets and Redshanks plus a scattering of other stuff including Dunlins and Golden Plovers.
Duckwise, there were a few each of Teal, Shoveler and Gadwall. This Teal was sitting quite close to the viewpoint but lost his nerve and flew off.
A little further out, two cracking female Pintails.
We took a short walk along the sea wall, noting several flocks of Brent Geese, including this massive one.
Some closer Brents, from a smaller flock. Not sure where they were off to but they didn't seem inclined to hang around here.
As winter visitors arrive, so summer visitors depart... a nice Wheatear on the equally nice lichen-spattered roof of the boathouse.
There were numerous Meadow Pipits around, mostly breaking cover close to our feet as we walked along the path. This one was more confident and let me get quite close.
It was getting lateish and no sign of the promised sunshine, so we opted to nip up to Elmley and just drive along the access track and back again - I know, pretty lame. There wasn't much to see but here's some of it.
Starlings. Lots of flocks about, feeding on the grass or, like this lot, bathing in one of the ditches.
Hovering Kestrel, which teased us by switching from one side of the track to the other as we inched along. Finally got a couple of shots out of my side before it disappeared.
... or did it? This could easily be the same bird. Just not close enough (nor bright enough) for a nice shot.
This Lapwing, on the other hand, was certainly close enough (this is the full frame). Many of the Lapwings we saw along the track were missing their long crest feathers and looked rather ridiculous, but this youngster has a full, if shortish, headdress on.
As usual, Black-tailed Godwits formed the bulk of the roost, but there were also plenty of Avocets and Redshanks plus a scattering of other stuff including Dunlins and Golden Plovers.
Duckwise, there were a few each of Teal, Shoveler and Gadwall. This Teal was sitting quite close to the viewpoint but lost his nerve and flew off.
A little further out, two cracking female Pintails.
We took a short walk along the sea wall, noting several flocks of Brent Geese, including this massive one.
Some closer Brents, from a smaller flock. Not sure where they were off to but they didn't seem inclined to hang around here.
As winter visitors arrive, so summer visitors depart... a nice Wheatear on the equally nice lichen-spattered roof of the boathouse.
There were numerous Meadow Pipits around, mostly breaking cover close to our feet as we walked along the path. This one was more confident and let me get quite close.
It was getting lateish and no sign of the promised sunshine, so we opted to nip up to Elmley and just drive along the access track and back again - I know, pretty lame. There wasn't much to see but here's some of it.
Starlings. Lots of flocks about, feeding on the grass or, like this lot, bathing in one of the ditches.
Hovering Kestrel, which teased us by switching from one side of the track to the other as we inched along. Finally got a couple of shots out of my side before it disappeared.
... or did it? This could easily be the same bird. Just not close enough (nor bright enough) for a nice shot.
This Lapwing, on the other hand, was certainly close enough (this is the full frame). Many of the Lapwings we saw along the track were missing their long crest feathers and looked rather ridiculous, but this youngster has a full, if shortish, headdress on.
Monday, 4 October 2010
Blacktoft Sands
We did think about going to Flamborough Head in search of the Rustic Bunting, but overall dampness made us wimp out of that idea and instead go somewhere that promised hides. Embarrassingly, this was my first ever trip to this RSPB reserve on the south shore of the Humber, and we only stayed an hour (if that) because the rain was so bad (and only visited two hides). However, it's clearly a good place to go on a better day.
There was a feeding station by the car park, and a closer look at it revealed a Tree Sparrow. Then I noticed a big interpretation sign nearby about Tree Sparrows.
We went to the first hide, overlooking a lagoon, and found some Shovelers on what looked like deepish water. They were mostly males, shedding the last of their eclipse plumage.
The next hide overlooked a shallow lagoon, festooned with feeding waders. The distance (and hideous light) meant my photos weren't very good but here they are anyway.
A Dunlin. One of about 20, some with blacker tummies than others.
It's a horrible photo but it's the first Spotted Redshank I've seen this autumn. On its own, feeding in deeper water than the many Common Redshanks.
Another blog newbie, distant but very pretty Curlew Sandpiper. It was a tiny speck in the frame - thank goodness for the 300mm f4 and its super-sharpness.
There were maybe three or four Marsh Harriers cruising about beyond the lagoons, looking damp and miserable. I include this photo of one for completeness.
There was a feeding station by the car park, and a closer look at it revealed a Tree Sparrow. Then I noticed a big interpretation sign nearby about Tree Sparrows.
We went to the first hide, overlooking a lagoon, and found some Shovelers on what looked like deepish water. They were mostly males, shedding the last of their eclipse plumage.
The next hide overlooked a shallow lagoon, festooned with feeding waders. The distance (and hideous light) meant my photos weren't very good but here they are anyway.
A Dunlin. One of about 20, some with blacker tummies than others.
It's a horrible photo but it's the first Spotted Redshank I've seen this autumn. On its own, feeding in deeper water than the many Common Redshanks.
Another blog newbie, distant but very pretty Curlew Sandpiper. It was a tiny speck in the frame - thank goodness for the 300mm f4 and its super-sharpness.
There were maybe three or four Marsh Harriers cruising about beyond the lagoons, looking damp and miserable. I include this photo of one for completeness.
All at sea
We had a nightmare journey to Bridlington on Saturday night. This photo was taken by Rob at some point during our two-hour wait in stationary traffic on the M25. We arrrived at about midnight, when I remembered to call the RSPB office to check if the cruise was going ahead. The recorded message revealed that they hadn't yet decided, and to try again at 7.30am.
A troubled sleep later (not the fault of our accommodation, which was lovely) I called again and this time the recorded message brought happier news - it was going ahead. We dressed, breakfasted and hurried to the harbour under dismal skies and moderate rain.
The boat set off at a fair old lick and and it soon became clear that standing at the front brought maximum soakage for us and, more importantly, our optics. However, staying under cover and peering through the rainy windows wasn't an option. I shoehorned myself into a space on the deck at the back, after mortally offending someone by daring to sit in the empty space next to him close to an open window (oh dear).
Great Black-backs of all ages gathered around the chum line. We soon had an entourage of some 50 gulls, nearly all of them GBBGs.
Rob was standing at the back opposite me photographing them. I drew his attention to an enraged-looking Kittiwake overhead.
A few smart juvenile Kittiwakes joined the adults, each one prompting excited calls of 'Little Gull!' from nearby birders, followed by embarrassed apologies.
Soon there were Gannets around, hanging photogenically in the breeze as they waited for their opportunity among the gull melee.
Many were in messy subadult plumage.
The juveniles of the year were striking in their all-dark plumage.
This poor individual had what looked like a bit of carrier bag caught on its lower mandible. As the upper mandible was free, presumably the bird was able to feed normally.
Not all the birds were interested in the chum line. Close inshore there were rafts of Shags.
Further out - auks. The announcer called out Razorbill and a single Puffin, but all Rob and I saw were Guillemots.
This Bonxie did a quick, dutiful fly-past, preventing the trip from having to be renamed the 'No-Skuas-or-Shearwaters Cruise'.
We then got an alarming announcement that a force 8 gale was coming and we had to cut the trip short. We began powering back towards the harbour, going through some major choppiness on the way.
The way back saw no new additions except for a few Fulmars. Someone upstairs called a Leach's Petrel, but I think he was the only one to see it.
We made it back to dry land about noon, in freshening winds and just as much rain. All in all it had been fun but spoiled by the weather. I'd like to do another one on a better day though.
On the way home we called in at RSPB Blacktoft Sands, and looked at some wet and miserable waterfowl. I'll put the pics from that in a new post.
A troubled sleep later (not the fault of our accommodation, which was lovely) I called again and this time the recorded message brought happier news - it was going ahead. We dressed, breakfasted and hurried to the harbour under dismal skies and moderate rain.
The boat set off at a fair old lick and and it soon became clear that standing at the front brought maximum soakage for us and, more importantly, our optics. However, staying under cover and peering through the rainy windows wasn't an option. I shoehorned myself into a space on the deck at the back, after mortally offending someone by daring to sit in the empty space next to him close to an open window (oh dear).
Great Black-backs of all ages gathered around the chum line. We soon had an entourage of some 50 gulls, nearly all of them GBBGs.
Rob was standing at the back opposite me photographing them. I drew his attention to an enraged-looking Kittiwake overhead.
A few smart juvenile Kittiwakes joined the adults, each one prompting excited calls of 'Little Gull!' from nearby birders, followed by embarrassed apologies.
Soon there were Gannets around, hanging photogenically in the breeze as they waited for their opportunity among the gull melee.
Many were in messy subadult plumage.
The juveniles of the year were striking in their all-dark plumage.
This poor individual had what looked like a bit of carrier bag caught on its lower mandible. As the upper mandible was free, presumably the bird was able to feed normally.
Not all the birds were interested in the chum line. Close inshore there were rafts of Shags.
Further out - auks. The announcer called out Razorbill and a single Puffin, but all Rob and I saw were Guillemots.
This Bonxie did a quick, dutiful fly-past, preventing the trip from having to be renamed the 'No-Skuas-or-Shearwaters Cruise'.
We then got an alarming announcement that a force 8 gale was coming and we had to cut the trip short. We began powering back towards the harbour, going through some major choppiness on the way.
The way back saw no new additions except for a few Fulmars. Someone upstairs called a Leach's Petrel, but I think he was the only one to see it.
We made it back to dry land about noon, in freshening winds and just as much rain. All in all it had been fun but spoiled by the weather. I'd like to do another one on a better day though.
On the way home we called in at RSPB Blacktoft Sands, and looked at some wet and miserable waterfowl. I'll put the pics from that in a new post.
Saturday, 2 October 2010
Twitchtastic
Today I woke at 7.30am, made a snap decision to twitch the juvenile White-winged Black Tern in Hyde Park, and was on a train at 7.59am. Got to the park just before 9am, where it was sunny and very pleasant, with plenty of stuff to photograph if I had no luck with the tern. I had forgotten to bring a spare memory card but I wasn't overly worried. Ha...
The tern was exactly where it was supposed to be, sitting on a post under the bridge across the Serpentine/Long Water. I went over for some distant photos and was wondering whether to get some 'looking down' pics from the bridge when it took off and flew towards me.
It was a cast-iron nightmare to photograph in flight. Quick, up and down all the time and almost completely unpredictable. Soon I had half a memory card full of whitish blurs, plus the odd sharpish shot.
Its routine was to feed for about 20 minutes, then return to its perch to doze and preen for about the same amount of time. The bridge gave great views, if a bit top-downy.
A stretch of the wings and a vigorous shake-out meant it was almost time for take-off.
A luckyish shot of a 'dipping' moment (it would be an unqualified lucky shot if it had been in focus...)
There was other stuff to see in the park too, but I was running out of time - and space on that one memory card. For the first time ever I actually deleted some of the hopelessly blurry pics (this is normally an 'at home' job) to free up some space.
Big female Sparrowhawk, luckily not in the mood for a marsh-tern breakfast.
Two Coots making love not war, which makes a change.
Female Tuftie pretending to be asleep on almost completely still and perfect water, by some fluke. It turns out that 'still and perfect' isn't all that intersting to look at, without a good reflection.
and finally... this cheeky munchkin got up on the back of my bench and tapped me on the shoulder, while I was sitting deleting blurry WWBT photos. Then he spotted a nearby picnic and rushed off to pillage it.
The tern was exactly where it was supposed to be, sitting on a post under the bridge across the Serpentine/Long Water. I went over for some distant photos and was wondering whether to get some 'looking down' pics from the bridge when it took off and flew towards me.
It was a cast-iron nightmare to photograph in flight. Quick, up and down all the time and almost completely unpredictable. Soon I had half a memory card full of whitish blurs, plus the odd sharpish shot.
Its routine was to feed for about 20 minutes, then return to its perch to doze and preen for about the same amount of time. The bridge gave great views, if a bit top-downy.
A stretch of the wings and a vigorous shake-out meant it was almost time for take-off.
A luckyish shot of a 'dipping' moment (it would be an unqualified lucky shot if it had been in focus...)
There was other stuff to see in the park too, but I was running out of time - and space on that one memory card. For the first time ever I actually deleted some of the hopelessly blurry pics (this is normally an 'at home' job) to free up some space.
Big female Sparrowhawk, luckily not in the mood for a marsh-tern breakfast.
Two Coots making love not war, which makes a change.
Female Tuftie pretending to be asleep on almost completely still and perfect water, by some fluke. It turns out that 'still and perfect' isn't all that intersting to look at, without a good reflection.
and finally... this cheeky munchkin got up on the back of my bench and tapped me on the shoulder, while I was sitting deleting blurry WWBT photos. Then he spotted a nearby picnic and rushed off to pillage it.
Subscribe to:
Comments (Atom)





















































